借りたい
賃貸物件を探す
買いたい
住宅や土地を探す
お知らせ
すーまるnetからのお知らせ
トピックス
取扱店からのお知らせ
不動産業者様へ
掲載やサイトについて
釧路の不動産・お部屋探し決定版!
「
借りたい
」「
買いたい
」 なんでもミツカル!
釧路の賃貸・不動産の売買情報「すーまるnet」
kushiro.suumaru-net.com
釧路の不動産・お部屋探し決定版!
「
借りたい
」「
買いたい
」 なんでもミツカル!
借りたい
賃貸物件を探す
買いたい
住宅や土地を探す
お知らせ
すーまるnetからのお知らせ
トピックス
取扱店からのお知らせ
不動産業者様へ
掲載やサイトについて
参加取扱店|一覧をみる
|借りたい|
|エリアから探す|
|地図から探す|
|学校から探す|
|新着物件一覧|
|買いたい|
|マンション|
|一戸建|
|土地・収益物件|
|新着物件一覧|
◉
マイリストをみる
◉
すーまるnetについて
◉
物件の掲載について
◉
すーまるnetへのお問合せ
◉
ご利用規約
|買いたい|
物件詳細
マイリストに追加
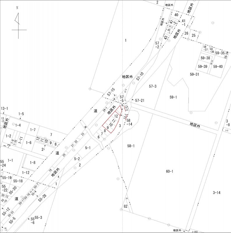
釧路町わらび4丁目 土地
1,500
万
円
所在地
釧路郡釧路町わらび4丁目12
種別/階建
土地
面積
土地/1513.98㎡
交通
JR釧網本線 遠矢駅 徒歩23分
くしろバス 「わらび団地」 バス停徒歩2分
取扱・お問合せ
ハウスドゥ釧路中央
0850043 釧路市喜多町2番6号
Tel.0154-65-7789
店舗詳細
ホームページ
メールでこの物件に問合せ
学校区
釧路町立遠矢小学校 2.1km/釧路町立遠矢中学校 2.8km
用途/地目
指定なし/原野
引渡
即時
仲介手数料
561,000円
建築条件
なし
現況
既存建築物あり(現状渡し)
建ぺい/容積
指定なし建ぺい率0% 容積0%
接道状況
-
取引態様
媒介
コメント
●国道沿いの眺望が良い高台に立地
●以前はホテルとして使用されていました
●敷地面積は約450坪
●参考建物面積:1階113.19㎡、2階291.60㎡
●売却相談も随時募集しております。
●住宅ローン、資金計画等ご相談ください。専門のスタッフがご提案させていただきます。
●手間と時間のかかる銀行手続きも代行しております。お任せください。
備考
-
設備等
閑静な住宅街
LPガス
田舎暮らし向き
上水道
電気
メールでこの物件に問合せ
ネットとフリーペーパーのダブル効果!「すーまるnet」は参加店を随時募集中です!
すーまるnetについて
物件の掲載について
すーまるnetへのお問合せ
借りたい
| エリアから
| 地図から
| 学校から
| 新着物件一覧
買いたい
| マンション
| 一戸建
| 土地・収益物件
| 新着物件一覧
web特集
トピックス
不動産業者様へ
参加取扱店一覧
すーまるnetについて
物件の掲載について
すーまるnetへのお問合せ
ご利用規約
© Tokachi Mainichi Newspaper Inc.
マイリスト
履歴
閲覧履歴
検索履歴